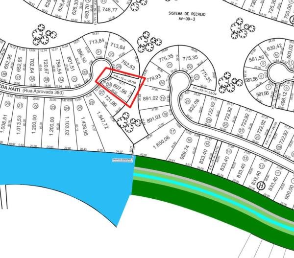
Terreno

dorms
Suítes
0 vagas
607.96 m² área total

Descrição

Apresentamos um terreno excepcional, ideal para construir a casa dos seus sonhos em um dos módulos mais cobiçados e valorizados da Riviera de São Lourenço! Com generosos 607,96 m², este lote oferece o espaço perfeito para um projeto de alto padrão. O maior diferencial é a sua condição: o terreno já está totalmente desmatado, representando uma economia significativa de tempo e custo no início da sua obra. Destaques: Módulo Super Valorizado: Garanta um investimento seguro e uma localização premium. Pronto para Construir: Terreno desmatado, acelerando o início do seu projeto. Embora esteja em uma rua mais estreita, isso garante maior privacidade e um fluxo de veículos reduzido, ideal para quem busca tranquilidade e segurança. Não perca esta oportunidade de construir seu refúgio exclusivo na Riviera. Entre em contato e saiba mais!

Características

Solicitar Contato

Preencha esse formulário que entraremos em contato, para um melhor atendimento referente ao imóvel de interresse.